Introduction
PVcase Roof Mount efficiently helps with cabling by providing options to:
- Configure cabling options
- Allow cabling to cross safety paths
- Avoid induction loops
- Routing polarity
- Create cabling
- Print SLD
- Remove cabling
After placing the inverters and completing the module stringing, the next step is to start the cabling. Start by opening the Cabling menu.
Cabling options
The Cabling tab in PVcase Roof Mount provides a range of setup options for configuring key parameters related to cable generation.
Cable tray route assignment
The Cable tray route assignment defines the pathways PV module cables follow within cable trays to establish connections with inverters.
You have the following two options to choose from:
- Automatic – Select the inverters you wish to connect, and PVcase automatically assigns the cable tray routes for each string.
- Manual – Choose the specific strings and manually define their path by selecting the cable trays they should follow. This option gives you full control over cabling routes.
Allow cabling to cross safety paths
The Allow cable to cross safety path feature in PVcase Roof Mount gives you the flexibility to model realistic and code-compliant layouts.
By toggling this option on or off, you can decide whether cabling may cross designated safety walkways — balancing code requirements, fire safety, and site-specific constraints. This capability is particularly valuable on complex rooftops, where strict avoidance of safety paths may be impractical; it enables optimized cable routing while ensuring crossings are modeled transparently for permitting and construction.
Avoid induction loops
The Avoid induction loops feature in PVcase Roof Mount helps prevent the creation of closed cable loops in your PV system layout, which can generate unwanted electromagnetic fields and reduce system efficiency or safety.
By switching this feature on, you ensure that DC cables run closely together and avoid configurations that could create induction loops, minimizing the risk of electromagnetic interference and heat buildup. This setting is especially important for maintaining system performance and meeting best-practice electrical safety standards.
Connection logic
If you enable the Avoid induction loops option, you will be able to define how the string will be connected to the inverter. From the Connection logic dropdown, you can choose one of the following options:
-
Any polarity: Same as the original default option; no polarity adjustment, shortest connection route Roof Mount finds
-
Shortest as -: Closest end must be negative (-), string end polarity is automatically adjusted
-
Shortest as +: Closest end must be positive (+), string end polarity is automatically adjusted
-
Always -: Connect to negative (-) string ends regardless of connection route is the shortest or not
- Always +: Connect to positive (+) string ends regardless of connection route is the shortest or not
See it in action
Routing polarity
Routing polarity allows you to define your overall cable routing strategy, before you start cabling.
PVcase Roof Mount offers two options for this:
- Stick to tray – Select this option if you need your cables to strictly follow the cable trays you’ve defined in your layout. This ensures the cables stay neatly organized and within the planned paths, even if the cable runs are a bit longer.
-
Shortest paths – Select this option if you want the software to find the most direct route for each cable, which usually means the shortest total cable length. This is efficient, but may not always follow your intended cable trays.
Create cabling
After all cabling options are configured, it’s time to create the cabling.
Click Create cabling and the cables will be created automatically.
After cable generation has been completed, you will be able to see the total DC cable length.
Each cable tray size will be adjusted based on cable quantities, and you will see the following three parameters:
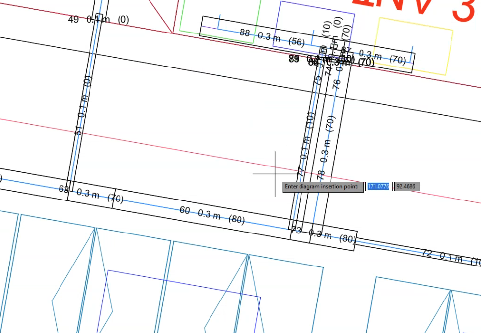
- Unique cable tray number (60)
- Cable tray width (0.3m)
- Cable quantity in cable tray [(80)]
Cable sizing and SLD
Cable sizing allows you to set up key parameters for cable size estimation and voltage drop calculation:
- Module
- Material
- Maximum voltage drop allowed
- Minimum cable size
You can also generate a single-line diagram or SLD:
- Click the SLD button
- Click on your layout to define where you want the diagram to be inserted (Enter diagram insertion point)
- Click Enter to insert the diagram
The SLD will show:
- String name
- String size (Modules:18)
- Cable length from (+/-) poles to inverter
- Recommended cable cross-section (size)
Remove cabling
To remove cabling:
- Click on the Remove cabling button
- Select the devices for which you want to remove the cabling
- Press Space or Enter to finalize the action
To learn how to export the electrical information to the Bill of Materials, check the Layout information & BOM article.